熊本市南区富合町小岩瀬 分譲売地(建築条件なし)8号地

熊本市 不動産熊本市南区富合町小岩瀬 分譲売地(建築条件なし)8号地

熊本市南区富合町小岩瀬 分譲売地(建築条件なし)8号地の売却査定・買取査定は株式会社たたら不動産

〔物件ID〕 0000013484
  • SUUMO未掲載物件
  • 売地
540 万円
所在地 熊本県熊本市南区富合町小岩瀬
交通 バス 緑川橋バス停下車 徒歩13分
JR鹿児島本線「富合」駅徒歩22分
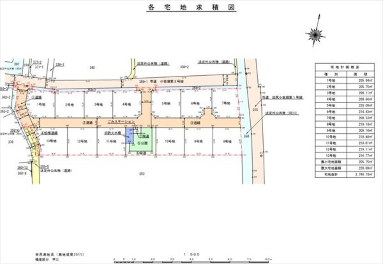
土地面積 210.18m2 (63.57坪)
建ぺい率/容積率 40 % / 80 %
  • おすすめ物件
  • 注目の物件
  • 更地
  • 建築条件なし
熊本市南区富合町小岩瀬 分譲売地(建築条件なし)8号地の物件写真

配置図                 

  • 現地

  • 配置図                 

  • 現地

  • 現地

  • 現地

  • 現地

  • 現地

  • 現地

  • 現地

  • 現地

  • 現地

  • 敷地内道路

  • 敷地内道路

  • 敷地内道路

  • 防火水槽

  • 敷地内公園

  • 西側道路

  • 北側道路

  • 北側道路

  • 東側水路

  • 各宅地求積図

  • 富合小学校

  • 富合中学校

  • ファミリーマート熊本富合小岩瀬店

  • おべんとうのヒライ富合店

  • 杉合郵便局

熊本市南区富合町小岩瀬 分譲売地(建築条件なし)8号地のMAP・周辺環境
熊本市南区富合町小岩瀬 分譲売地(建築条件なし)8号地の物件概要
所在地 熊本県熊本市南区富合町小岩瀬
交通 バス 緑川橋バス停下車 徒歩13分
JR鹿児島本線「富合」駅徒歩22分
価格 540万円
小学校区富合小学校 (徒歩 23 分)中学校区富合中学校 (徒歩 37 分)
土地面積 210.18m2(63.57坪) 建築条件
土地権利 所有権 地目 宅地
私道負担/私道面積 セットバック/距離/面積 ---
都市計画 調整 用途地域 無指定
建ぺい率 40% 容積率 80%
建ぺい率(用途地域2) --- 容積率(用途地域2) ---
接道状況 一方
方向:北      種別:公道      幅員:5m      間口:14.2m
その他使用料 ---
現況 更地 引渡 相談
取引態様 仲介 国土法届出 不要
設備 公営(引込済)、下水(浄化槽)

コメント \自然と便利さのいいとこ取り♪ 富合町小岩瀬の分譲地♪/

新しいご近所付き合いがスタートする新しい街に、

210.18㎡(約63.57坪)の広々とした分譲地が登場!(※表記は8号地の内容です)

明るく開放的な住環境を実現できるのが魅力。

趣味やお子様の遊び場など、ご家族の理想に合わせた暮らしを実現できます。

さらに、日当たり良好!

建築条件はありませんので、お好きなハウスメーカーや工務店でプランニングOK。

更地渡しのため、お引渡し後すぐに建築スタート可能です。

周辺には、お散歩やペットとの時間、休日のリフレッシュまで。

河川敷や広場、ゴルフ練習場など、日常に“ちょっと楽しい”をプラスしてくれる場所がたくさん!

さらに、スーパーやコンビニも車で5分圏内、国道3号線へのアクセスもスムーズ。

宇土シティまでは車で約12分!

市内中心部へも車や電車で行きやすく、

自然と利便性のバランスがちょうどいい立地です。

自然の心地よさと、日常の便利さを兼ね備えたこの土地で、

新しい暮らしを始めませんか?

「静かに暮らしたいけれど、便利さもほしい」そんな方にぴったりの分譲地です。

まずはお気軽にお問い合わせください^^♪

※法令上の制限:外壁後退・高さ制限、景観法、航空法
※本物件は、浄化槽の設置が必要となります。また、別途、水道加入金および検査手数料が必要となります。
※2025年11月中旬引渡し予定


<周辺環境>
富合小学校まで徒歩約23分、富合中学校まで徒歩約37分、杉合郵便局まで徒歩約4分、ファミリーマート 熊本富合小岩瀬店まで車で約3分、おべんとうのヒライ富合店まで車で約6分、その他、沢山の商業施設や医療機関、飲食店が多数充実しております。

物件は最新の情報を記載するよう心がけておりますが、 来客されました際にあわせてご紹介を行っているため、すでに成約、商談が入ってしまっている場合があります。

気になる物件がございましたら、お早めにお問合せくださいますようお願いいたします。
※掲載内容と現況に相違がある場合は、現況優先とさせていただきます。
更新日 2026年04月09日 次回更新予定日 2026年04月23日
ローンシミュレーション
自己資金 万円
※別途、諸費用が必要です。
ローン借入額 万円
内ボーナス時支払い 万円
※ボーナス返済月の加算額ではありません。
※お借入れ予定額の50%以下の金額をご入力ください。
金利
返済年数
  • 月々(毎月返済額)
  • 0
  • ボーナス(ボーナス時加算額)
  • 0

物件情報と現況に差異がある場合、現況を優先します。
掲載物件は売却済み、売却中止、価格変更となる場合がありますので、予めご了承ください。
仲介物件には所定の仲介手数料(消費税含む)が必要です。

株式会社たたら不動産
会社名 株式会社たたら不動産
所在地 〒862-0909
熊本市東区湖東3丁目4-16
交通 ----
TEL 096-243-7001
FAX 096-243-7002
ホームページHP https://www.tatara-fudousan.com/
メールアドレスE-MAIL info@tatara-fudousan.com
免許番号 国土交通大臣(2)第9594号
営業時間 10:00~18:00
定休日 水曜日
物件を探す ×
物件種別
エリア
価格
延床面積
土地面積
専有面積
間取り
駅徒歩
築年数
こだわり条件
新規会員登録

無料会員登録で
非公開販売物件を
ご覧いただけます!

公開物件
211
公開物件+非公開物件
718

会員登録で
物件数が
大幅アップ!

現在の会員数3,942

  • 会員登録は無料!
  • 会員専用マイページを作成!
  • 希望条件に合う新着・価格変更物件をメール配信!
  • 非公開物件が閲覧可能!
  • 他社にはない特別限定物件のご紹介チャンスあり!